Unter Wasser im Coiba Nationalpark
von Jonas · 11. Januar 2019
Liebe Leserinnen und Leser,
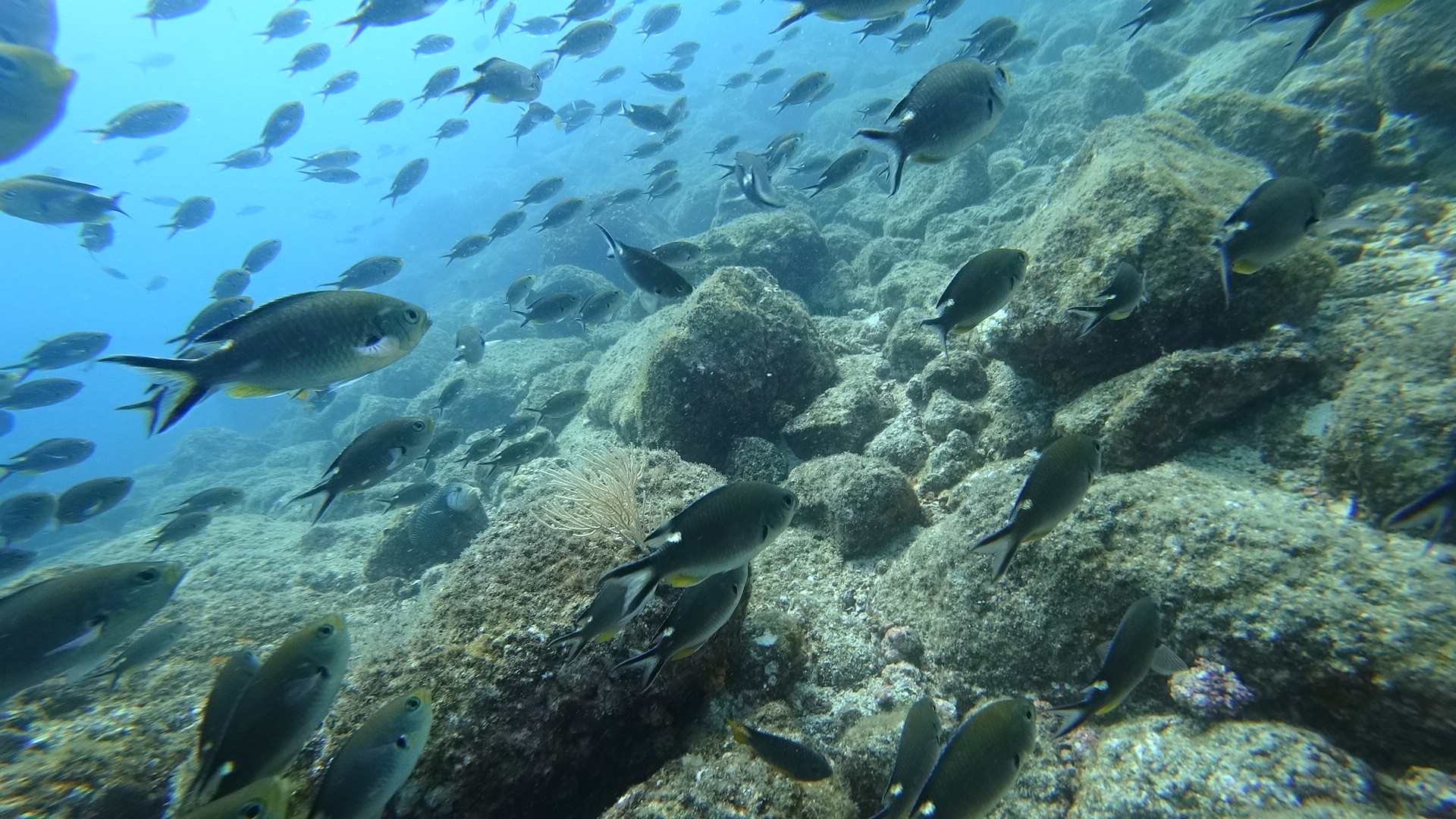
herzliche Grüße aus dem sonnigen Süden des Landes. Wir haben die kühlen Berge verlassen und uns talwärts bis zur Küste vorgearbeitet. Wir leben nun seit genau einer Woche in Santa Catalina, einem sehr kleinen Ort am Meer. Der Ort besteht im Prinzip nur aus einer kleinen Straße mit ein paar Häuschen. Nur sehr wenige Panamesen wohnen hier. Trotzdem gibt es sehr viele Hostels, Restaurants, Boot- und Surfbrettvermietungen, und sogar fünf Tauchschulen. Der Ort ist bei Backpackern sehr beliebt, und das liegt vor allem am Coiba Marine Park, der von hier aus zu erreichen ist. Der Park ist ein Paradies für Naturliebhaber und Taucher. Neben der großen Insel Coiba, auf der es ein Besucherzentrum der Ranger gibt, befinden sich hier viele weitere sehr kleine Inselchen – allesamt ausgesprochen ruhig und unberührt, mit viel Wald und hübschen Stränden. Das Highlight des Nationalparks befindet sich allerdings unter Wasser. Taucher können hier große Fischschwärme, Moränen, Riffhaie, Rochen, Schildkröten und gelegentlich Hammerhaie und Walhaie beobachten. Zwar gibt es keine schönen Korallen oder Pflanzen, das Wasser ist jedoch sehr planktonhaltig und deshalb ein idealer Lebensraum für alle Arten von Fischen.
Natürlich waren wir auch tauchen. Ich habe einen Tauchtag mit drei Tauchgängen gebucht. Mit den Schnellbooten des Panama Divecenters hatten wir den Nationalpark in einer knappen Stunde erreicht. Das Tauchen selber war für mich sehr angenehm, denn die Ausrüstung war sehr gut und neu und unser Guide, Kath, hat die Tauchgänge ruhig und entspannt geführt. Sie hat uns durch das Labyrinth aus Felsen geleitet, in dem wir uns auf die Suche nach den Bewohnern des Meeres machten. Eigentlich ist Suchen das falsche Wort, denn Fische, große Fischschwärme und besonders Haie sieht man hier überall. Es ist ein toller Ort zum Tauchen. Coiba kommt zwar nicht an den Komodo-Nationalpark heran, aber trotzdem würde ich es als überdurchschnittlich schönen Tauchspot betrachten. Zwischen den Tauchgängen haben wir auch ein paar Stopps auf den Inseln gemacht. Ich selbst bin nur einen Tag getaucht, weil ich mein ohnehin knappes Geld lieber für die Galapagos-Inseln aufheben möchte. Wir fliegen ja schon nächste Woche, und ich möchte gern mindestens drei Tauchtage buchen, und so meine Chancen auf Hammerhaie erhöhen. Eric hat hier in Santa Catalina seinen PADI Open Water Tauchschein gemacht, auch er ist jetzt also vorbereitet für den anstehenden Galapagos-Besuch.
Ich habe mich hier sehr wohlgefühlt, besonders weil ich nicht das Gefühl hatte, Sehenswürdigkeiten abzuarbeiten. Stattdessen konnte ich jeden Tag ganz entspannt angehen, und ganz ohne Zeitdruck den schönen Marinepark und die Umgebung Santa Catalinas entdecken. Ein Besuch hier ist auf jeden Fall sehr empfehlenswert!
Morgen reisen wir ab, und treffen uns mit Giness und Emely in Las Tablas. Hier findet am Wochenende ein sehr großes Fest statt, die „Mil Polleras“, bei dem sich tausende panamesische Tänzerinnen treffen und in ihren traditionellen Trachten durch die Stadt tanzen. Für das Bio Museo habe ich über dieses Event schon einen Film geschnitten, allerdings mit Aufnahmen, die Tomás im letzten Jahr filmte. Ich freue mich also, das Fest endlich mit eigenen Augen zu sehen!
Liebe Grüße,
Jonas































Es scheint in Panama selbst unter Wasser mehr Sonne zu scheinen als hier in Dunkeldeutschland :-(. Kannst du nicht mal paar Sonnenstrahlen über den großen Teich rüberschicken? Stell dir vor: hier SCHNEIT`S! Kennst du überhaupt noch Schnee, dieses weiße, kalte Zeugs?
Also bei uns in Dresden scheint die Sonne seit weit über einem Monat jeden Tag.
Ich weiß nicht was dein Papa hat. (er guggt wahrscheinlich nie aus dem Bürofenster)
Allerdings sind fast immer Wolken davor das muss ich ehrlicherweise dazu sagen.
Hai Jonas!!!
die Witze werden flacher…
Wie groß waren denn die Tiere? Da bekomme ich ja richtig feuchte Hände.
Ich stelle mir eine Begegnung mit einem Wolf entspannter vor. Hätte dann aber auch keine rote Kappe auf und keinen Kuchen sondern paar Flaschen Bier im Korb. Aber so ein hungriger Raubfisch… Oder waren das am Ende Plastetiere aus Hollywood?
Natürlich echt 🙂 Und wenn wir dann Ende dieser Woche noch auf Galapagos tauchen, gibt es hoffentlich die großen Hammerhaie zu sehen!
Ja das wär der Hammer! Ich drück die Daumen 🙂
Nachtrag an Erwin: Das waren echte Weißspitzen-Riffhaie! Sind so 1,50 lang und schleppen an die 17 kg mit sich rum. Aber die sind ganz lieb und lassen sich sogar von Tauchern füttern.