Lombok
von Jonas · 2. Oktober 2017
Liebe Leserinnen und Leser,
seit ihr das letzte Mal von mir gehört habt, bin ich schon ein ganzes Stück weitergereist. Ich bin inzwischen in Labuhan Bajo, und stehe kurz davor, meine Ausbildung zum PADI Rescue Diver abzuschließen. Seit ich am Dienstag hier angekommen bin, habe ich nahezu jeden Tag auf dem Boot zwischen den Inseln des Komodo-Nationalparkes verbracht. Geschlafen habe ich sehr wenig, die Wäsche ist ungewaschen und auch zum Blogschreiben bin ich nicht gekommen. Doch heute sind wir nur einen halben Tag auf dem Meer gewesen, und ich nutze den freien Abend, um die Erlebnisse der letzten Tage zu beschreiben. In diesem Artikel geht es um meine Zeit in Lombok und auf den Gilis. Die Fotos und den Bericht zum aktuellen Tauchurlaub werde ich erst im nächsten Artikel in ein paar Tagen uploaden.
Wie ihr euch erinnern könnt, war ich von Bali mit dem Boot nach Lombok gefahren. In Mataram habe ich ein bisschen die Umgebung erkundet, aber hauptsächlich versucht, mein Visum zu verlängern. Bereits am Montag der entsprechenden Woche war ich in der Imigrasi-Behörde. Um einen Stempel in den Ausweis zu setzen, plant man hier allerdings eine ganze Woche ein, und so wurde ich gebeten, am Freitag wiederzukommen. Ich hatte also drei Tage frei, die ich – möglichst in der Nähe von Mataram – irgendwie füllen konnte. Von meiner kleinen Rundfahrt und meiner Begegnung mit dem angriffslustigen Affen am Dienstag hatte ich ja schon erzählt.
Aber am Mittwoch habe ich die Stadt vorübergehend verlassen. Ziel waren diesmal die Gilis, eine kleine Inselgruppe direkt vor Lombok. Die drei Inseln Gili Trawangan (Gili T), Gili Meno und Gili Air sind bei Backpackern sehr beliebt. Grund dafür sind vor allem die Ruhe und die entschleunigte Atmosphäre der Inseln. Die Inseln sind sehr klein, es gibt absolut keinen Straßenverkehr, dafür aber schöne, ruhige Strände und Kokospalmen.
Am beliebtesten ist, glaube ich, Gili T. Die meisten Backpacker gehen tatsächlich auf diese Insel, denn hier ist die Partyszene sehr aktiv. Es scheint viele Kneipen und Bars zu geben. Ich selbst habe mich jedoch für Gili Meno entschieden. Die kleinste der drei Inseln ist die ruhigste – und überraschenderweise nur sehr wenig besucht. Im Zentrum der Insel ist sogar noch ein indonesisches Dorf, und die Dorfbewohner führen nach wie vor ein ziemlich normales Leben. Wer nicht im Tourismus involviert ist, arbeitet entweder als Fischer oder baut Kokospalmen an – viele machen beides.
Natürlich spielt auch der Tourismus auf der Insel eine große Rolle. Es gibt also ein paar Hostels und Resorts, kleine Bars und Restaurants. Alles in allem ist die Insel aber noch ziemlich authentisch und nicht überlaufen. Nachdem ich die Tage vorher doch recht aktiv gewesen war, wollte ich einfach mal Urlaub machen. Im klassischen Sinne entspannen, und mir ein bisschen Zeit für Erholung nehmen. Dafür sind die Gilis perfekt. Meno ist so klein, dass man in einer Stunde – immer dem Strand folgend – einmal um die Insel wandern kann.
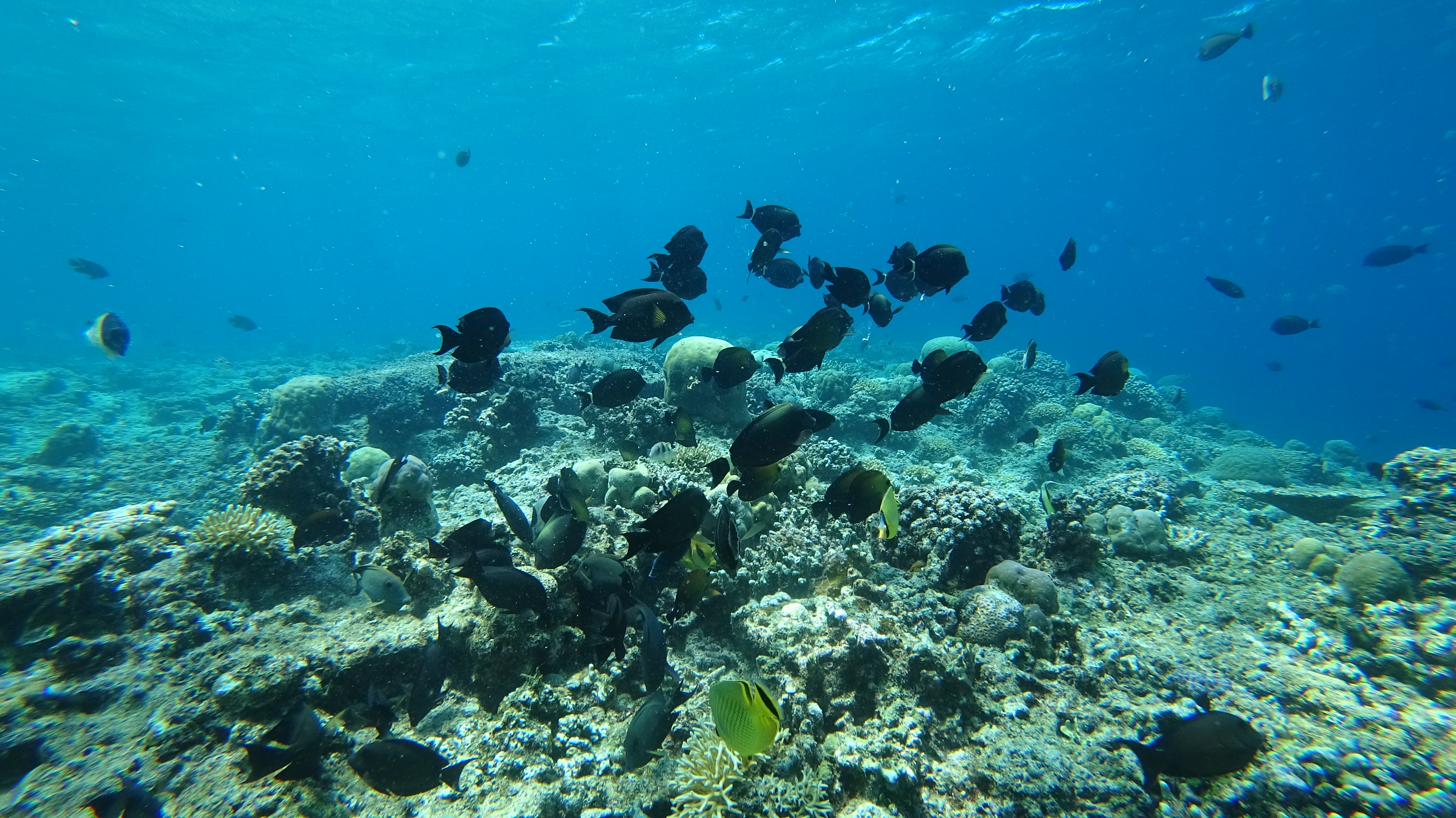
Mein erster Tag bestand also aus einem kleinen Spaziergang, und aus vielen Stunden Sonnenbaden und Schnorcheln. Die Gilis sind von einem großen Korallenriff umgeben. Ich habe mir Equipment gemietet und bin mehrere Stunden durchs Riff geschwommen. Wie ihr auf den Fotos erahnen könnt, hat das Riff schon bessere Zeiten gesehen. Ich war im ersten Moment sehr erstaunt, denn wirklich alle Korallen waren weiß und überall lagen Bruchstücke herum. Ein Einheimischer erklärte mir später jedoch, dass die Fischer der Insel früher mit Dynamit auf Fischfang gingen. Das hat im Riff deutlich sichtbare Spuren hinterlassen. Trotzdem hat das Schnorcheln großen Spaß gemacht, denn im Riff leben nach wie vor viele bunte Fische und auch Schildkröten.
Am nächsten Morgen habe ich sogar einen Tauchgang gemacht, den ersten seit ungefähr sechs Monaten. Hier auf Meno gibt es eine sehr gute Tauchschule: Blue Marlin Dive. Hier kostet der Tauchgang circa 30 Euro. Mit dem Boot sind wir früh am Morgen Richtung Gili T gefahren, und waren dann zu viert für ungefähr eine Stunde unter Wasser. Auch hier waren die Korallen ähnlich bleich, aber unter Wasser gab es trotzdem viel zu sehen: Fischschwärme, Schildkröten, kleine Riffhaie und Oktopusse. Ich konnte endlich mal meine neue Kamera – die Sony X3000 – unter Wasser testen. Ich habe nur sehr wenig Fotos gemacht, und hauptsächlich Videos.
Am späten Nachmittag nahm ich die Fähre zurück aufs Festland und fuhr wieder nach Mataram. Dort konnte ich am nächsten Tag auch endlich mein Visum abholen. Zwar habe ich dafür wieder ungefähr sechs Stunden in der Imigrasi verbracht, hauptsächlich um zehn Fingerabdrücke und zwei Fotos abzugeben. Aber am späten Nachmittag hatte ich endlich wieder meinen Pass in der Hand, und besaß nun die Erlaubnis, 60 Tage statt nur 30 zu bleiben. Ich bin insgesamt 37 Tage in Indonesien, musste also für nur sieben Tage all diese Mühen auf mich nehmen. Aber eine Erfahrung war es auf jeden Fall.
Ich habe mir danach noch die Moschee der Stadt angesehen.
Am Abend bin ich in ein Taxi gestiegen, und nach Kuta Lombok gefahren. Die kleine Stadt im Süden der Insel ist bei Backpackern sehr beliebt. Außerdem waren Patrick, Yann und Kathi gerade hier. Zu viert wollten wir hier das Wochenende verbringen, bevor alle drei bereits am Dienstag das Land verlassen sollten. In Kuta hatten wir eine sehr ruhige Pension mit Privatzimmern, Pool und gutem Frühstück gefunden.
Schon am ersten Abend habe ich festgestellt, dass sich die Stadt seltsam anfühlt. Der größte Teil besteht aus recht einfachen Hütten. Aber die gesamte Strandpromenade ist für die Touristen herausgeputzt. Und hier gehen einige merkwürdige Sachen vor sich. Angefangen hat es damit, dass wir in einem Restaurant Fisch gegessen hatten. Und nach kurzer Zeit kamen die ersten Händler in das Restaurant, um uns Dinge zu verkaufen. Den hartnäckigen Verkauf von gefärbten Tüchern bin ich inzwischen gewöhnt, aber der nächste Händler legte uns unvermittelt eine Tüte mit Pilzen vor, „Magic Mushrooms“, wie er sie nennt.
Eigentlich gehört Indonesien zu den Ländern mit der härtesten Drogenpolitik der Welt. Der Besitz bzw. Schmuggel wurde hier in der Vergangenheit sogar manchmal mit dem Tod bestraft. In den touristischen Orten scheinen andere Regeln zu gelten. Ein Dorfbewohner hat uns gegenüber angedeutet, dass auch die örtliche Polizei am Drogenhandel mitverdient.
Außerdem kamen oft kleine Kinder zu uns, höchstens acht oder neun Jahre alt, die Armbänder verkaufen wollten. Diese Kinder sind, ohne erwachsene Begleitung, auch weit nach Mitternacht noch unterwegs.
Auch später, als wir am Strand an einem Lagerfeuer saßen und unser Bier tranken, waren die Kinder mitten drin. Und als wir noch später in die Surfers Bar gingen – ein Strandclub mit Livemusik –, waren auch dort noch kleine Kinder unterwegs. Es hat mir leidgetan, zu beobachten, wie die Kinder noch nach Mitternacht inmitten der lauten, feiernden Menge standen und verkaufen mussten. An solchen Orten trifft der „sorglose Tourismus“ auf die harte Lebensrealität vieler Einheimischer.
In der Bar hielt sich auch ein Mann auf, der Lachgas in Luftballons verkaufte. Das Gas wird eigentlich als Narkosemittel und Treibgas bei Sprühsahne genutzt. In kleinen Mengen aus dem Ballon eingeatmet, löst es einen kurzen Rausch aus. Allerdings kann der Konsum zu neurologischen Schäden führen.
Abseits der Touristenmeile mit all ihren Sonderbarkeiten hat mir der Ort aber ganz gut gefallen. Die Atmosphäre ist sehr entspannt (auch ohne Pilze), in den vielen Bars ist immer sehr gute Stimmung (wahrscheinlich wegen der Pilze), und falls man mal ein bisschen Ruhe braucht, setzt man sich einfach an ein Lagerfeuer am Strand und genießt ein kühles Bier.
Ansonsten gibt es jedoch nicht allzu viel zu sehen. Deshalb sind wir am nächsten Morgen mit dem Roller auf die Halbinsel Sunut gefahren. Hier gibt es ein kleines Fischerdorf, und viele schöne Strände.
Am Sonntag hatten wir einen ganz besonderen Einblick in die indonesische Kultur. Das war vor allem unserer Rezeptionistin zu verdanken. Sie hat uns am Morgen in den lokalen Teil der Stadt geführt, wo gerade Sonntagsmarkt war.
Am Nachmittag hat sie uns außerdem auf die Hochzeit ihres Cousins mitgenommen. Wir haben uns traditionelle Kleidung gemietet.
Wir sind mit ungefähr 200 Gästen durch die Stadt gezogen. Vorne laufen traditionell die Frauen und die Braut. Dann folgt eine Gruppe von Musikern und dahinter kommen der Bräutigam und die männlichen Gäste. Wir wurden von eifrigen Verwandten in die erste Reihe geschoben, damit man uns möglichst auf allen Fotos sieht. Ob das auch der Wunsch des Bräutigams war, der uns natürlich weder kannte noch erwartet hatte, ist mir unklar. Aber weder er noch wir konnten etwas einwenden. Die Polizei hatte für diesen Umzug extra ein paar Straßen gesperrt, und sowohl die indonesischen Autofahrer als auch die Bewohner der Stadt verzogen fröhlich erstaunt die Gesichter, wenn wir vorbeizogen. Alle Gäste waren sehr freundlich und haben uns nett aufgenommen.
Zum Abschluss des Umzugs wurden der Bräutigam und die Braut zusammengeführt. Das Ganze hat mich sehr an das Fest in der Dominikanischen Republik erinnert. Auch hier wurde lebhaft und laut und ausgelassen gefeiert. Und natürlich haben wir uns von sehr vielen Leuten fotografieren lassen.
Die drei Tage in Kuta waren sehr einprägsam, erlebnisreich und gleichzeitig erholsam.
Am Montagmorgen bin ich wieder nach Mataram gefahren, denn ich hatte gehört, dass man von dort aus auf die 500 Kilometer entfernte Insel Flores gelangen kann. Im Busbahnhof der Stadt habe ich tatsächlich sehr günstige Tickets für eine 26-stündige Reise erwerben können. Enthalten waren zwei Bus- und zwei Fährfahrten. Am Montag um 15 Uhr ging es mit dem Bus los. Wir durchquerten Lombok und fuhren dann mit der Autofähre auf die Insel Tenggara. Ein zweiter Bus transportierte uns zum anderen Ende der Insel, von dort brachte uns eine zweite Fähre nach Labuhan Bajo auf Flores. Die letzte Fährfahrt hat übrigens fast sieben Stunden gedauert. Begleitet wurde unser Boot von einer Gruppe Delfinen. Außerdem sind wir am Komodo-Nationalpark vorbeigefahren, meinem nächsten Ziel zum Wandern und Tauchen.
Am späten Nachmittag des nächsten Tages waren wir dann endlich in Flores und ich habe noch am selben Tag meinen Aufenthalt organisiert. Ich habe eine mehrtägige Tour im Komodo-Nationalpark gebucht, um zu schnorcheln und Komodo-Warane zu sehen. Außerdem habe ich mein Training zum PADI Rescue Diver gebucht. Davon werde ich (schon bald) im nächsten Beitrag berichten. Darauf freue ich mich besonders: Denn ich habe im Nationalpark die größten Echsen der Welt gesehen und auch eine Menge anderer toller Dinge erlebt. Doch davon später mehr.
Bis bald,
Jonas















































































Hi Jonas, schön das du wieder einen Reiseblog verfasst. Es ist schön, so an deiner Reise Teil zu haben.
Visumverlängerung? Da bekommt das Wort Bürokratie ja nochmal eine neue Bedeutung oder? Die Hochzeit war sicher auch sehr interessant. Das durfte ich auch mal in Nepal erleben. Auf dem 1. Bild in Gästetracht, habe ich dich übrigens nicht erkannt…
Und dann immer wieder diese Traumstrände. Da kann man doch nur neidisch werden.
Morgen früh fahren wir auch ein wenig in den Süden. Es geht diesmal wieder für eine Woche an den Gardasee und auf dem Rückweg machen wir einen 2 tägigen Zwischenstop in den Dolomiten. Nun müssen wir nur noch ein “wenig” packen.
Sei lieb gegrüßt von uns 4 ren aus Dräsdn